首页
伤感说说
动漫配图
心情说说
抖音文案
伤感图片
伤感说说:
伤感的句子说说心情
空间说说
心情说说
爱情说说
女生伤感说说
人生感悟
心情不好的说说
说说带图片
关于生活的说说
说说心情短语
qq空间说说带图片
个性说说
励志名言
一句话经典语录
感悟人生的经典句子
短句吧
情感故事
抖音文案
伤感图片:
伤感图片带字
非主流伤感图片
唯美伤感图片
女生伤感图片
唯美意境图片
悲伤的图片
唯美意境伤感图片
只有字的伤感图片
说说图片
伤心的图片
美甲图片
图片大全
情感图片
微信头像男
动态壁纸
动漫配图
伤感图片
首页
>
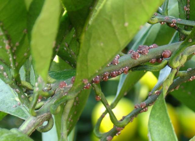
荔枝介壳虫
荔枝介壳虫,介壳虫幼虫
茶,苹果,梨,樱桃,柿,荔枝,杨梅,无花果,忙果,石榴等,柑橘类主要害虫
蚧壳虫专用药蚧必治噻嗪酮介壳虫花卉柑橘果树多肉通用农药杀虫剂
柑橘介壳虫形态各异,奇怪得不像一类虫?不慌,教你辨认
防治介壳虫掌握这个技巧一遍就能杀灭干净
介壳虫,专吸食叶汁,使大量的叶子被破坏,严重的导致整棵平安树死亡
更多推荐
介壳虫幼虫
菠萝介壳虫
介壳虫
介壳虫种类
白色介壳虫
介壳虫铁树
多肉介壳虫
吹棉介壳虫
介壳虫图片成虫
介壳虫虫图片大全
介壳虫怎么根除
介壳虫病害图
杀介壳虫专用药
桂花介壳虫图片
蚧壳虫天敌
蚧壳虫图片
荔枝蝽
介壳虫害图片
荔枝品种
荔枝树
荔枝草
黑暗荔枝
荔枝花
75酒精杀蚧壳虫
桂味荔枝
荔枝王
妃子笑荔枝
荔枝
荔枝树图片
白糖罂荔枝