首页
伤感说说
动漫配图
心情说说
抖音文案
伤感图片
伤感说说:
伤感的句子说说心情
空间说说
心情说说
爱情说说
女生伤感说说
人生感悟
心情不好的说说
说说带图片
关于生活的说说
说说心情短语
qq空间说说带图片
个性说说
励志名言
一句话经典语录
感悟人生的经典句子
短句吧
情感故事
抖音文案
伤感图片:
伤感图片带字
非主流伤感图片
唯美伤感图片
女生伤感图片
唯美意境图片
悲伤的图片
唯美意境伤感图片
只有字的伤感图片
说说图片
伤心的图片
美甲图片
图片大全
情感图片
微信头像男
动态壁纸
动漫配图
伤感图片
首页
>
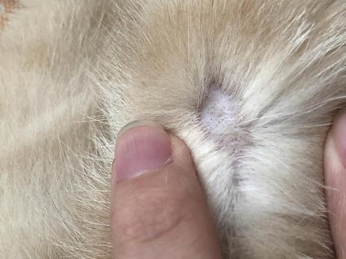
猫毛囊炎
猫毛囊炎,猫毛囊炎 猫藓
猫咪neinei边上的毛囊炎
求问猫咪这是毛囊炎还是猫藓
猫下巴一个疙瘩是毛囊炎吗?
猫毛囊炎
【讨论】求助!猫咪这样是毛囊炎吗还是过敏
更多推荐
猫毛囊炎 猫藓
猫肚皮毛囊炎
猫毛囊炎 症状
猫皮肤病有哪些带图
猫癣照片
猫藓图片传染人
黑下巴猫咪图片
猫藓结痂图片
猫癣是什么样的
猫咪嘴唇红肿
正常皮屑和猫藓皮屑
猫蛋蛋毛囊炎图片
猫尾巴毛囊炎
猫下巴
猫咪耳朵长猫藓
猫癣严重图片
猫咪下巴长了硬包凸起
猫耳廓毛囊黑点
猫咪下巴毛囊炎图片
猫咪黑头
猫毛囊炎和猫藓的差别
猫下巴毛囊炎
猫尾巴毛囊炎图片
猫咪初期猫癣图片
毛囊炎能自愈吗
猫鼻子毛囊炎
趾间炎 猫
公猫尾巴毛囊炎图片
猫脂肪粒
猫下巴长了硬硬的包