首页
伤感说说
动漫配图
心情说说
抖音文案
伤感图片
伤感说说:
伤感的句子说说心情
空间说说
心情说说
爱情说说
女生伤感说说
人生感悟
心情不好的说说
说说带图片
关于生活的说说
说说心情短语
qq空间说说带图片
个性说说
励志名言
一句话经典语录
感悟人生的经典句子
短句吧
情感故事
抖音文案
伤感图片:
伤感图片带字
非主流伤感图片
唯美伤感图片
女生伤感图片
唯美意境图片
悲伤的图片
唯美意境伤感图片
只有字的伤感图片
说说图片
伤心的图片
美甲图片
图片大全
情感图片
微信头像男
动态壁纸
动漫配图
伤感图片
首页
>
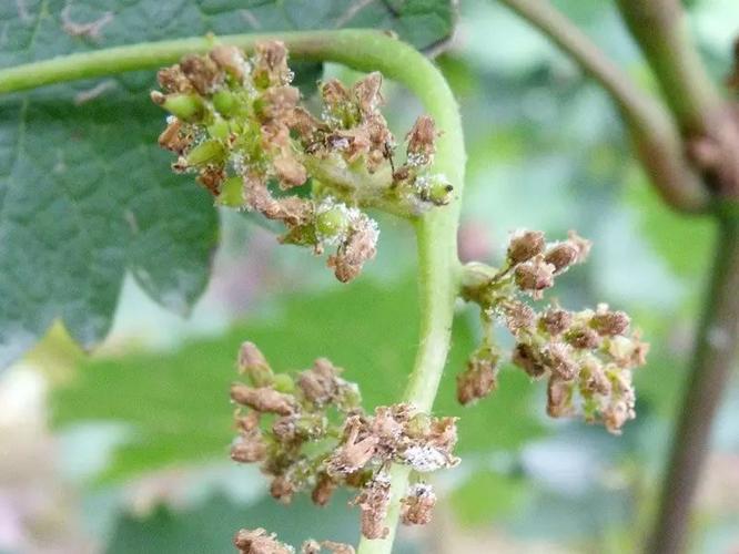
葡萄霜霉病病害循环图
葡萄霜霉病病害循环图,葡萄霜霉病图片
葡萄冬剪一定要注意这些方面!保护剪口芽,避免对口伤
葡萄霜霉病
葡萄常见真菌病白粉病霜霉病及灰霉病的症状及侵染途径分析
收藏!史上最全葡萄病害来了
葡萄霜霉病的症状特点,葡萄霜霉病用什么药最有
更多推荐
葡萄霜霉病图片
葡萄霜霉病菌形态图
生菜霜霉病病害识别图
哈密瓜霜霉病病害图片
霜霉病和灰霉病的图片
葡萄霜霉病
葡萄病害图片大全大图
葡萄各种病害图解
葡萄霜霉病防治方法
葡萄灰霉病图片
葡萄霜霉病显微镜图片
葡萄病害图片
葡萄病害图谱与防治
葡萄叶病害图片详解
葡萄霜霉病显微镜
葡萄叶子病害识别图
生菜病害图谱病害名称
葡萄灰霉病初期图片
霜霉病图片病原物
葡萄霜霉病早期症状
葡萄树病害大全图解
葡萄病害
葡萄灰霉病
葡萄叶病害图片及名称
葡萄炭疽病图片
葡萄常见病害及症状图
葡萄常见病害
霜霉病图片
黄瓜霜霉病图片
葡萄病害防治与用药