首页
伤感说说
动漫配图
心情说说
抖音文案
伤感图片
伤感说说:
伤感的句子说说心情
空间说说
心情说说
爱情说说
女生伤感说说
人生感悟
心情不好的说说
说说带图片
关于生活的说说
说说心情短语
qq空间说说带图片
个性说说
励志名言
一句话经典语录
感悟人生的经典句子
短句吧
情感故事
抖音文案
伤感图片:
伤感图片带字
非主流伤感图片
唯美伤感图片
女生伤感图片
唯美意境图片
悲伤的图片
唯美意境伤感图片
只有字的伤感图片
说说图片
伤心的图片
美甲图片
图片大全
情感图片
微信头像男
动态壁纸
动漫配图
伤感图片
首页
>
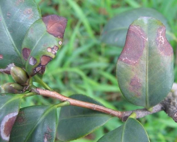
茶花新叶黑霉病图片
茶花新叶黑霉病图片,茶花病害图片大全
茶花叶子发黑有黑斑怎么办,叶斑病引起
茶花病虫害分析以及预防方法,不做养花小白!_叶片
茶花病虫害分析以及预防方法,不做养花小白!_叶片
茶花叶尖焦枯,是什么原因导致的?怎么办?
茶花常见病虫害图片
更多推荐
茶花病害图片大全
茶花树病害图片及防治
茶花常见病害图片大全
茶花病害图片及防治
茶花炭疽病图片
茶花病症状图片及防治
茶花肥害的症状图片
茶花黑斑病图片
茶花炭疽病
茶花叶枯病图片
茶花黑霉病图片
茶花铁锈病图片
茶花叶子发黑病害图
栀子花黑霉病图片
茶花黑霉病
山茶花叶子病害图片
茶花叶斑病图片
茶花灰霉病图片
茶花的叶子黑斑图片
栀子花黑霉病
叶霉病图片
茶花病虫害图片大全
黑骨茶花花苞图片
番茄叶霉病图片
茶花煤烟病图片
黑霉病图片
黑茶花图片
茶花树叶子干枯图片
茶花病虫害防治图解
黑贝拉茶花图片大全