首页
伤感说说
动漫配图
心情说说
抖音文案
伤感图片
伤感说说:
伤感的句子说说心情
空间说说
心情说说
爱情说说
女生伤感说说
人生感悟
心情不好的说说
说说带图片
关于生活的说说
说说心情短语
qq空间说说带图片
个性说说
励志名言
一句话经典语录
感悟人生的经典句子
短句吧
情感故事
抖音文案
伤感图片:
伤感图片带字
非主流伤感图片
唯美伤感图片
女生伤感图片
唯美意境图片
悲伤的图片
唯美意境伤感图片
只有字的伤感图片
说说图片
伤心的图片
美甲图片
图片大全
情感图片
微信头像男
动态壁纸
动漫配图
伤感图片
首页
>
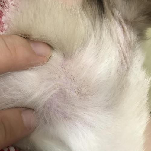
猫毛囊炎图片
猫毛囊炎图片,猫毛囊炎症状
猫咪neinei边上的毛囊炎
求问猫咪这是毛囊炎还是猫藓
【讨论】大家帮我看一下这是毛囊炎还是猫藓呀?
【讨论】大家帮我看一下这是毛囊炎还是猫藓呀?
科普·猫咪毛囊炎
更多推荐
猫毛囊炎症状
猫毛扒开黑色一粒一粒
猫毛囊炎图片 嘴巴
猫皮肤病有哪些,带图
猫过敏性皮炎
猫癣的初期症状图片
猫咪皮肤病分类图片
猫胡子毛囊炎图片
猫毛囊炎
猫蛋蛋毛囊炎图片
猫皮肤病鉴别图片
猫耳朵毛囊炎图片
毛囊炎图片
毛囊炎图片症状
毛囊炎图片女性
毛囊炎图片初期
毛囊炎图片胸前
毛囊炎图片脸部
毛囊炎图片男士
毛囊炎图片腿部
毛囊炎图片婴儿
毛囊炎
毛囊炎女性
头皮毛囊炎
毛囊炎身体
毛囊炎胸前
毛囊炎鸡皮肤
手臂毛囊炎
腋下毛囊炎
背部毛囊炎